Featured
Last news
Lawsuits pile up over Credit Suisse bonds write-down
Switzerland's justice authorities said Tuesday that 230 complaints had been filed over a decision by financial regulators to cut the value of high-risk Credit Suisse bonds to zero, to facilitate the stricken bank's takeover by UBS.
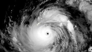
Guam braces for direct hit from Super Typhoon Mawar
Super Typhoon Mawar packing potentially catastrophic winds is heading for a direct hit on Guam, a US territory in the Pacific that is a crucial US military outpost.
Bolivia seeks files on pedophile priests from Pope
Bolivia's president has asked Pope Francis for files on sexual abuse committed by Catholic priests in the South American country following revelations of alleged large-scale exploitation of children.
Afrobeat legend's son freed on bail in Lagos after 'attacking' policeman
Grammy-nominated Nigerian musician Seun Kuti, the son of Afrobeat legend Fela Kuti, was released from prison on bail on Tuesday after allegedly assaulting a police officer.
Panama ex-president Martinelli goes on trial for money laundering
Scandal-ridden former Panama president Ricardo Martinelli on Tuesday went on trial on charges of money laundering, clouding his chances of standing in next year's election.
Trump makes video court appearance in hush money case
A frustrated-looking Donald Trump appeared in a New York court via video-link Tuesday to be informed by a judge that he cannot post certain evidence in his criminal case on social media.
UK police looking at fresh 'Partygate' claims against Johnson
Former UK prime minister Boris Johnson is facing further potential police investigations into the "Partygate" scandal, after a government ministry handed two police forces material about alleged Covid lockdown breaches it emerged Tuesday.
TikTok 'confident' of stopping Montana ban: CEO
TikTok is confident of stopping a ban in the US state of Montana, its CEO said on Tuesday, after the Chinese-owned social media app launched a legal challenge.
Indonesia's Merapi volcano erupts, spewing 'avalanche' of lava
Indonesia's Mount Merapi, one of the world's most active volcanoes, erupted on Tuesday, spewing lava more than two kilometres from the crater.
French short-haul flight ban comes into force
France has banned domestic flights for journeys possible in less than two-and-a-half hours by train, under a government decree published Tuesday.
Fire that killed 19 in Guyana school dorm may have been set 'maliciously'
The fire at a schoolgirls' dormitory that killed 19 people in Guyana may have been started "maliciously," police said Monday, as anger grew in the small South American country the day after the blaze.
TikTok sues to stop ban in US state of Montana
TikTok on Monday filed suit in US federal court to stop the state of Montana from implementing an overall ban on the video sharing app.
Cannes queasy over vomit-eating dieting drama
Cannes endured the nauseating sight of someone eating her own vomit on Monday, but the film's star, Mia Wasikowska, said it was a dark satire on the challenges facing teens.
19 dead in fire at Guyana schoolgirls' dormitory
At least 19 youths were killed in a schoolgirls' dormitory blaze in Guyana, officials said Monday, with anger growing in the tiny South American country over the tragedy.
Biggest fines under EU privacy law
The European Union rolled out its mammoth data privacy regulation five years ago this week, and has since handed down billions in fines.
'Cool drink' is code for cash in graft-ridden S.Africa
Casually leaning into the side-window of a car stopped at a routine checkpoint on a congested Johannesburg road, a South African policeman tells the driver he needs "a cool drink".
Three years after George Floyd: hopes dashed, progress mixed
It's been nearly three years since a white police officer put his knee on George Floyd's neck, asphyxiating the African-American man and sparking mass protests against racism and police violence.
Smoke choking Canadians but cooling wildfires by blocking out sun
Wildfire smoke blanketing western Canada has triggered health warnings in several cities, but was also helping to cool blazes by blocking out a hot sun across hard-hit portions of the country Sunday.
El Salvador mourns 12 killed in soccer stadium stampede
El Salvador was in shock Sunday after 12 people died and hundreds were injured in a stampede at a soccer stadium.
Gunmen kill six in Ecuador tourist town: prosecutors
Gunmen in Ecuador opened fire in a restaurant in a beach town popular with tourists, killing at least six people and wounding six more, prosecutors said Sunday.
Italy's Meloni visits flood-hit region
Prime Minister Giorgia Meloni donned wellington boots and visited flooded homes in northeast Italy Sunday, after returning early from the G7 summit in Japan following floods which left 14 people dead.
Friendship, hot meals for Italy's flood displaced
Ludmilla distracts herself from the memories of rising flood waters by tidying up around her makeshift bed in a gym at Castel Bolognese sheltering some of those who lost their homes.
Three shot dead in Marseille as gang murders surge
Three men were shot dead with assault rifles on Sunday in the French port city of Marseille, which has seen a surge of drug-related gang murders, police said.
El Salvador soccer stadium stampede kills 12
Twelve people were killed and hundreds injured Saturday in a stampede at an El Salvador soccer stadium, police and emergency services said.
Three die in Marseille shooting as gang murders surge
Three men died Sunday in an assault rifle attack in the French port city of Marseille, which has seen a surge of drug-related gang murders in recent months, police said.
El Salvador soccer stadium stampede kills 12: police
Twelve people were killed Saturday in a stampede at an El Salvador stadium where soccer fans had gathered to watch a local tournament, police said.
Despite rumblings, Colombia volcano survivor skeptical of repeat disaster
Screams, dismembered bodies among the thousands dead, and his town buried in mud. Survivor William Suarez remembers the horror of Colombia's Nevado del Ruiz volcanic eruption of 1985, but he dismisses authorities' latest warnings of a repeat.
ICC 'undeterred' after Russia puts prosecutor on wanted list
The International Criminal Court said Saturday that it was "undeterred" after Russia put prosecutor Karim Khan on a wanted list over his issuance of an arrest warrant for President Vladimir Putin.
Over 36,000 people displaced by Italy floods
More than 36,000 people have now been forced from their homes by deadly floods in northeast Italy, regional officials said Saturday, as rising waters swallowed more houses and fresh landslides isolated hamlets
Spain says containing wildfire as conditions improve
Spanish authorities said Saturday that firefighters and soldiers were managing to contain a blaze in the country's west that has forced hundreds of people to evacuate from nearby villages, as strong winds eased.
Guatemala court suspends presidential contender's candidacy
A court in Guatemala provisionally suspended on Friday the presidential candidacy of businessman Carlos Pineda, a leading contender for the country's top job in elections slated for next month.
Senegal opposition leader demands safety guarantees for trial
Senegalese opposition leader Ousmane Sonko on Friday demanded guarantees of his personal safety as a condition for attending his trial for alleged rape.